Free Video Flight Lessons
Latest Videos
An Overview of Airways
This lesson is a quick overview of the airway system in the United States. Airways are the "highways in the sky" that connect each point in the United States. Airways...
Charted IFR Altitudes
This lesson explores the different types of IFR altitudes charted on an Enroute Low Altitude Chart. The types of altitudes most commonly found on the low altitude chart are the Minimum Enroute Altitude (MEA), Minimum Obstacle...
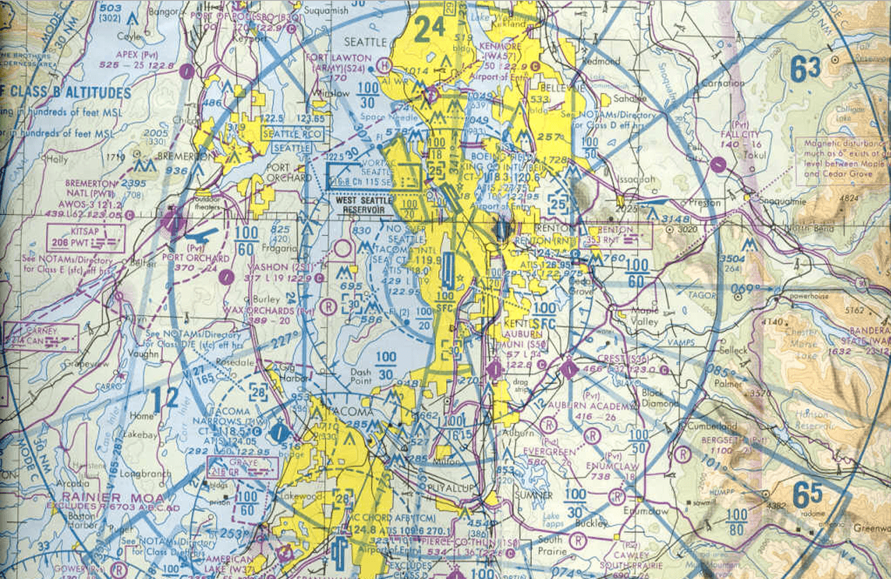
Objectionable Airports on the VFR Sectional
This lesson is thanks to Keith through our lesson suggestion tool on KLAviation.com. Keith has a student who found this "OBJECTIONABLE" symbol on the VFR sectional and wanted to know what it meant....
Departing an Airport Without a SID
John wrote to us on our website to ask how he would file a flight plan from an airport that did not have a Standard Instrument Departure Procedure since most airports do not have a Standard Instrument...
Towered Airport Diagrams – Sectional Chart
Towered airports are a little more complex than non-towered airports, so it's important to know what you are looking for on a sectional. Entering the tower's airspace without all the proper information and...
Uncontrolled Airport Diagrams – Sectional Chart
Most airports in the United States don't have a control tower. Looking at the FAA Sectional there are hundreds of airports and knowing what services are available and what to expect when you get to the airport...
How To Intercept and Fly DME Arcs
Note: This lesson uses a 2-4 degree rule of thumb for adjusting heading and radial. I know that the often taught method is "twist 10 turn 10" but for this lesson I chose to use the method outlined in the...
Drawing Holding Entries
I've gotten a few questions lately about how to properly draw a holding entry when looking at a hold. The process is the same for all holds regardless of position, direction, or if it has standard turns or...
Maximum Elevation Figure (MEF) – Sectional Chart
One of the most important numbers on a sectional is the Maximum Elevation Figure, or MEF. The MEF depicts the lowest altitude you can fly and still be assured to clear every obstacle within that...








